24 jun 2015 , 01:48

Casi 200.000 afectados por el tifón Kujira en el sur de China

   
user placeholder

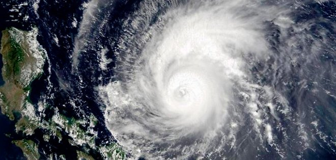
Las lluvias torrenciales y los fuertes vientos llegan hasta 90 kilómetros por hora.

Unas 193.000 personas han resultado afectadas en la isla meridional china de Hainan por el tifón Kujira, el primero que llega a China este año y el octavo en Asia, informaron hoy autoridades locales citadas por la agencia oficial Xinhua.

 

Las lluvias torrenciales y los fuertes vientos de hasta 90 kilómetros por hora han dañado 7.400 hectáreas de cultivos y han provocado unas pérdidas económicas estimadas de 88 millones de yuanes (14,4 millones de dólares, 12,6 millones de euros), según la Oficina Estatal de Control de Inundaciones y Sequías.

 

Hainan, que hasta el pasado fin de semana estaba sufriendo una fuerte y prolongada sequía, ha registrado precipitaciones de 102 milímetros de media desde el domingo, aunque en algunas zonas esta cifra asciende hasta 732 milímetros.

 

La tormenta, que tocó tierra durante la noche del lunes al martes en la ciudad costera de Wanning, se desplazará hacia el norte a una velocidad de 15 kilómetros por hora, pronosticó el Centro Meteorológico Nacional.

 

El Centro Meteorológico prevé también que los efectos de Kujira se noten a partir de mañana, jueves, en zonas del sur de China como la provincia de Yunnan o la región autónoma de Guangxi, donde pueden producirse inundaciones que se sumarían a las de las últimas semanas. 

Noticias
Recomendadas